구조 강아지 상완골 복합 골절 수술 후 회복 사례 | 3D 프린팅 활용

안녕하세요. 울산·부산·경주·포항 외과 전공 수의사의 진료와 고난도 수술이 가능한 에스동물메디컬센터 울산점 외과센터입니다.

강아지 교통사고는 복합골절 등 큰 외상을 초래하는 사고라 주의가 필요한데요. 특히 교통사고 이후 발생하기 쉬운 분쇄 골절은 뼈가 3조각 이상으로 파편화되는 골절로, 단술 골절보다 정교한 수술 계획과 접근이 필요합니다.

오늘은 구조된 강아지의 상완골 복합 골절 수술 사례를 바탕으로 상완골 복합 골절의 위험성, 3D 프린팅 기반의 정밀 수술 과정을 설명해 드리도록 하겠습니다.

강아지 상완골이란? 왜 골절되면 위험한가요?

강아지 상완골(Humerus)은 앞다리의 어깨부터 팔꿈치까지 이어지는 뼈로, 강아지의 앞다리 움직임 담당하는 뼈입니다. 체중의 상당 부분을 지탱하는 만큼, 골절이 발생하면 통증과 함께 불안정한 보행 상태를 보입니다.

■ 혈관·신경 손상 위험

상완골 주변에는 주요 혈관과 요골신경(Radial nerve)이 지나고 있어 분쇄 골절 시, 골편이 이탈하면서 신경을 압박하거나 손상시키면 신경 마비나 혈관 손상으로 이어질 수 있습니다.

■ 관절 기능 저하

골절이 팔꿈치 관절 근처까지 이어지면 관절 자체의 기능이 손상될 수 있습니다.

■ 치료 골든타임 존재

골절 후 시간이 지체되면 뼈와 주변 조직이 잘못된 방향으로 붙을 수 있으며(유합) 이럴 경우 환원하기가 어려워지고, 수술 난이도 역시 올라갑니다.

단순 골절 vs 분쇄 골절, 무엇이 다른가요?

구분단순 골절분쇄 골절
형태뼈가 1~2개 선으로 골절뼈가 3조각 이상으로 파편화
주요 원인낙상, 가벼운 충격교통사고, 강한 외부 충격
진단 방법엑스레이로 대부분 확인 가능CT 촬영 권장 (골편 위치 파악)
수술 난이도상대적으로 낮음높음 (골편 정렬·고정 복잡)
회복 기간비교적 짧음상대적으로 회복 기간이 길 수 있
합병증 위험낮음골유합 지연, 신경 손상 등 위험 ↑

분쇄 골절은 단순히 뼈가 많이 부러진 것이 아니라 수술 계획 자체가 완전히 달라지는 고난도 케이스입니다. 골편 하나하나의 위치를 파악하고 해부학적으로 정확하게 맞춰 고정해야 하기 때문에 CT 진단과 3D 시뮬레이션 같은 첨단 기술이 필요합니다.

골절 의심 증상, 이렇게 확인하세요

다음 중 하나라도 해당된다면 즉시 동물병원에 내원하셔야 합니다.

갑자기 다리를 들고 걷거나 전혀 딛지 못한다

다리 모양이 눈에 띄게 휘어 있거나 부어 있다

만지려 하면 심하게 아파한다 (평소와 다른 공격성)

사고 이후 식욕 저하, 무기력함이 지속된다

걸을 때 뼈가 “뚝뚝” 소리를 낸다

⚠️ 골절이 의심될 경우, 절대 무리하게 다리를 펴거나 만지지 마세요. 골편이 주변 혈관이나 신경을 손상시킬 수 있습니다. 최대한 움직임을 제한하고 빠르게 내원하는 것이 가장 중요합니다.

분쇄 골절, 엑스레이 vs CT 진단

엑스레이(X-ray)는 뼈의 전체적인 형태를 파악하는 데 유용하지만 분쇄 골절처럼 복잡한 케이스에서는 한계가 있을 수 있습니다.

검사확인 가능한 정보한계
X-Ray골절 유무, 전체적인 뼈 형태골편의 입체적 위치, 방향 파악이 어려움
CT골편 수, 위치, 변위 방향의 3차원 분석비용, 마취 필요

분쇄 골절의 경우 미세한 골편의 위치, 뼈의 입체적인 변위 방향, 수술 플레이트를 어떻게 거치할지 등 CT(컴퓨터 단층 촬영)를 통해 3차원으로 분석해야 정확하게 파악할 수 있습니다.

또한 최근에는 CT 영상을 기반으로 한 3D 프린팅 기술이 수의 외과 분야에도 도입되었으며, 수술 전 뼈 모델을 실제로 출력해 수술 계획 시뮬레이션에 활용되고 있습니다.

구조된 강아지의 3D 프린팅 활용한 상완골 분쇄 골절 수술 후기

🐶 환자 정보 🐶

내원 경위: 실종 후 구조

골절 부위: 좌측 상완골 (갈비뼈·경추 동반 골절)

증상: 좌측 전지(왼쪽 앞다리) 보행 불가, 다리를 전혀 딛지 못함

01 내원 당시 상태와 정밀 검진

강아지 환자는 보호자님 회사 근처에서 돌봐주시던 아이였는데, 며칠간 실종되었다가 좌측 전지(왼쪽 앞다리)를 심하게 저는 상태로 구조되어 내원했습니다. 내원 후 먼저 X-Ray(엑스레이)를 촬영해 상완골 골절 소견 확인하였습니다.

단순 엑스레이 검사만으로는 골편의 수, 변위 방향, 입체적 위치 등을 파악하기 힘들어 CT 촬영을 진행했습니다.

강아지 앞다리 상완골 골절 출처: 에스동물메디컬센터

02 영상 의학적 진단 결과

■ 상완골 분쇄 골절 (Lt. Humeral Comminuted Fracture)

왼쪽 앞다리 위쪽 뼈(상완골) 중간부터 원위부까지 뼈가 여러 조각으로 부서진 상태였습니다.

■ 골절 변위

가장 큰 골편이 앞쪽으로 심하게 이탈(Displacement) 되어 있었고 원위부 뼈들은 외측으로 밀려나 있는 복잡한 양상이었습니다.

■ 동반 골절

우측 제1, 2번 갈비뼈(Rib)와 경추 1번(Atlas) 날개 부위의 골절도 함께 확인되어 전신 충격이 상당했을 것으로 보였습니다.

03 3D 프린팅 모델링을 활용한 맞춤형 수술 계획

이와 같은 복합 골절의 경우 수술 중 뼈의 각도와 길이를 정상 뼈 구조에 맞게 맞추는 것이 쉽지 않습니다. 하지만 3D 프린팅 기술을 활용하여 사전에 시뮬레이션을 진행한다면 수술의 정확도를 높일 수 있습니다.

▶️ 울산 에스동물병원 3D 프린팅 기술

이를 위해 강아지 환자 역시 3D 프린팅으로 모델을 출력하여 사전 시뮬레이션을 진행하였습니다.

1. 3D 시뮬레이션

CT 데이터를 기반으로 환자의 뼈 구조를 3차원으로 복원했습니다.

2. Pre-contouring

실제 수술에 들어가기 전, 3D로 출력된 뼈 모델에 골절 수복용 플레이트를 미리 성형하여 수술 시간을 단축하고 수술 시 발생할 수 있는 오차를 줄이는 데 도움이 될 수 있습니다.

울산 에스동물병원 3D 프린팅 / 출처: 에스동물메디컬센터

04 고난도 골절 수복 수술 (Surgical Procedure)

수술은 후추의 정상 뼈 구조 유합과 함께 빠른 회복과 정상 보행 회복에 초점을 맞추어 진행되었습니다.

1. Internal Fixation (내부 고정)

Rigid 플레이트를 이용하여 여러 조각으로 나뉜 뼈를 해부학적으로 정교하게 정렬하고 고정했습니다.

2. BMP(골 형성 단백질) 이식

BMP(골 형성 단백질)은 뼈 재생을 유도하는 단백질로, 골재생 보조 목적으로 임상에서 활용되고 있습니다. 복합 골절인 환자의 골유합을 촉진하기 위해 특수 골 형성 단백질을 이식하여 뼈가 더 빨리 붙을 수 있도록 해주었습니다.

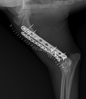
강아지 상완골 골절 수술/ 출처: 에스동물메디컬센터

3. 다각도 모니터링

마취 전공 수의사가 수술 중 실시간으로 마취 모니터링을 담당하여 안전하게 진행되었습니다.

강아지 상완골 분쇄골절 수술 후 / 출처: 에스동물메디컬센터

05 골절 수술 후 경과

후추는 입원 기간 동안 술부 관리와 재활을 병행하였고 무사히 퇴원하였습니다. 퇴원 후 정기적인 재진 내원하여 체크하였을 때 보행 상태가 많이 회복된 모습을 보여주었습니다.

복합 골절은 자칫 평생 장애로 남을 수 있는 위험한 상황이었지만, 정확한 CT 진단 + 3D 프린팅 시뮬레이션 + 숙련된 집도의의 기술이 더해져 성공적인 회복 사례를 만들어낼 수 있었습니다.

울산 에스동물병원 외과센터 김경빈 수의사

이번 구조견의 상완골 복합 골절 수술은 울산 에스동물병원 외과센터 김경빈 수의사님께서 담당해 주셨습니다.

▶️ 울산 강아지 골절 수술 사례

▶️ 울산 고양이 골절 수술 사례

골절 수술 후 재활·회복 과정

골절 수술이 성공적으로 끝났다고 해서 바로 일상으로 돌아갈 수 있는 것은 아닙니다. 골유합(뼈가 붙는 과정) 이 완성되고 약해진 근육과 관절 기능을 회복하는 재활 과정이 반드시 필요합니다.

📌 일반적인 회복 단계

시기주요 관리 내용
수술 직후 ~ 2주절대 안정, 술부 소독 및 드레싱, 통증 관리
2주 ~ 6주제한적 보행 허용, 수동적 관절 운동 시작
6주 ~ 12주점진적 체중 부하 훈련, 근력 회복 운동
12주 이후방사선 검사로 골유합 확인 후 정상 활동 복귀

⚠️ 분쇄 골절의 경우 단순 골절보다 골유합에 더 오랜 시간이 걸릴 수 있으며, 정기적인 방사선 검사를 통해 뼈가 올바르게 붙고 있는지 확인하는 것이 중요합니다.

FAQ로 알아보는 강아지 골절·분쇄골절

Q1. 강아지 골절 후 바로 수술해야 하나요?

👉 골절 후 시간이 지체되면 뼈와 주변 조직이 잘못된 방향으로 유합될 수 있어, 가능한 한 빠른 평가와 치료 계획이 필요합니다. 다만 모든 경우에 즉시 수술이 진행되는 것은 아니며, 아이의 전신 상태와 동반 손상 여부에 따라 수술 시기를 조율해야 하는 경우도 있습니다.

Q2. 3D 프린팅을 활용하는 이유는 무엇인가요?

분쇄골절과 같은 난도가 높은 수술에서는 CT 데이터 기반으로 실제 뼈 구조와 동일한 3D 모델을 출력해, 수술 전 미리 시뮬레이션을 진행하기도 합니다. 수술 중 플레이트를 즉석에서 성형하는 시간을 줄이고 오차를 줄이는 데 도움이 될 수 있습니다.

울산 에스동물병원 외과센터에서 알려주는 강아지 골절 수술 후 관리

  • 활동 제한: 퇴원 후 일정 기간은 케이지 안정을 유지하고, 계단, 점프, 뛰기 등 격한 활동은 제한해 주세요.
  • 수술 부위 관리: 수술 부위를 핥지 않도록 넥카라를 착용하고, 붓기나 분비물이 보이면 병원에 상담해 주세요
  • 처방약 복용: 처방받은 약은 정해진 기간 동안 복용하며, 임의 중단은 피해주세요.
  • 정기 검진: 정기검진을 통해 골 유합 상태를 확인하며, 혹시 이상 증상이 보인다면 병원에 내원하여 진료를 받아주세요.

갑작스러운 사고는 보호자님께 큰 걱정을 안겨주는 순간일 수 있습니다. 하지만 정확한 진단과 사전 계획, 그리고 치료가 이어진다면 아이의 안정적 회복에 긍정적으로 기여할 수 있습니다.

✔️ 24시간 정형외과 응급 수술 가능
✔️ 대학병원급 고사양 CT 및 영상 진단 센터
✔️ 3D 프린팅 맞춤형 골절 수술

경험이 많은 의료진, 전문화된 의료 시스템을 통해 아이에게는 최선의 치료를 보호자분에게는 신뢰와 믿음을 드리고자 언제나 노력하는 에스동물메디컬센터가 되도록 하겠습니다.

울산·부산·경주·포항 외과 전공 수의사의 진료와 고난도 수술이 가능한 에스동물메디컬센터 울산점 외과센터였습니다.